JACTOP - Javier Águila Cortés - Ingeniero Técnico de Topografía

JACTOP JACTOP

Javier Águila Cortés

Ingeniero Técnico Topográfo

Experiencia y profesionalidad

JACTOP

Gabinete de Ingeniería Topográfica referente en la provincia de Almería
Javier Águila Cortés - Ingeniero Técnico de Topografía Javier Águila Cortés - Ingeniero Técnico de Topografía

Garantía de éxito

El Gabinete de Ingeniería Topográfica JacTop posee gran experiencia desarrollando proyectos para distintos ámbitos, destacando en los sectores de la Agricultura, Edificación, Urbanismo y Obra Civil.

JacTop trabaja en estrecha y sólida unión con otros profesionales de muy diversas disciplinas y presta servicios tanto a empresas como a particulares.

La experiencia y formación de su equipo de trabajo ha proporcionado al Gabinete de Ingeniería Topográfica gran profesionalidad, responsabilidad y entrega en todas sus actuaciones.

SERVICIOS

Soluciones Topográficas
Agrimensura JacTop

Topografía técnica

  • Obra civil
  • Edificación
  • Replanteo estructuras
  • Nivelaciones
  • Plantas fotovoltaicas, termosolares y eólicas
Topografía técnica JacTop

Agrimensura


  • Medición de terrenos y construcciones
  • Cubicaciones y explanaciones
  • Deslindes
  • Certificados de superificies
Catastro y Registro de La Propiedad JacTop

Catastro y Registro de La Propiedad

  • Subsanación de discrepancias catastrales
  • Georreferenciación. Archivos GML
  • Segregación y Agrupación de parcelas
  • Informes y certificados. Localización de fincas
  • Certificados de Eficiencia Energética
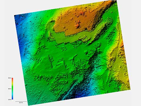
Fotogrametría: Terrestre y Aérea JacTop

Fotogrametría: Terrestre y Aérea

  • Modelados 3D de precisión
  • Arquitectura
  • Arqueología
  • MDT, MDE y MDS
  • Ortofotografías de alta resolución
  • Documentación del patrimonio histórico

INSTRUMENTAL

Eficacia y precisión

Estación Total Linertec LTS 205N N/Prism

Precisión edm: 2mm + 2ppm

Precisión angular 5"

GPS subcentimétrico CHC i80 x 2

Precisión estática horizontal: 2.5mm ± 0.5ppm (RMS)*

Precisión estática vertical: 3.5mm ± 0.5ppm (RMS)*

Precisión RTK horizontal: 8mm ± 0.5ppm (RMS)*

Precisión RTK vertical: 1.5cm ± 0.5ppm (RMS)*

Nivel ótico. Topcon AT-B4A

Desviación estándar 1 km = 2mm

Drone DJI Phantom 4

Cámara sensor Sony Exmor 12,4 MPix

Grabación 4k

Trabajos

Algunos de nuestros trabajos para empresas y particulares
  • Javier Águila Cortés

CONTACTO

Póngase en contacto con nosotros
Dirección

(Pulse en la dirección para abrir mapa)

C. Pío Baroja, 26
04006 Almería

Correo electrónico

(Pulse para enviar correo electrónico)

gabinetejactop@gmail.com

Teléfono

(Pulse para iniciar llamada)

619 944 241

Whatsapp

(Pulse para enviar whatsapp)

619 944 241